Voortsweg 131
Kantoorruimte te huur
Monumentaal kantoorgebouw met bedrijfsruimte.
Algemeen:
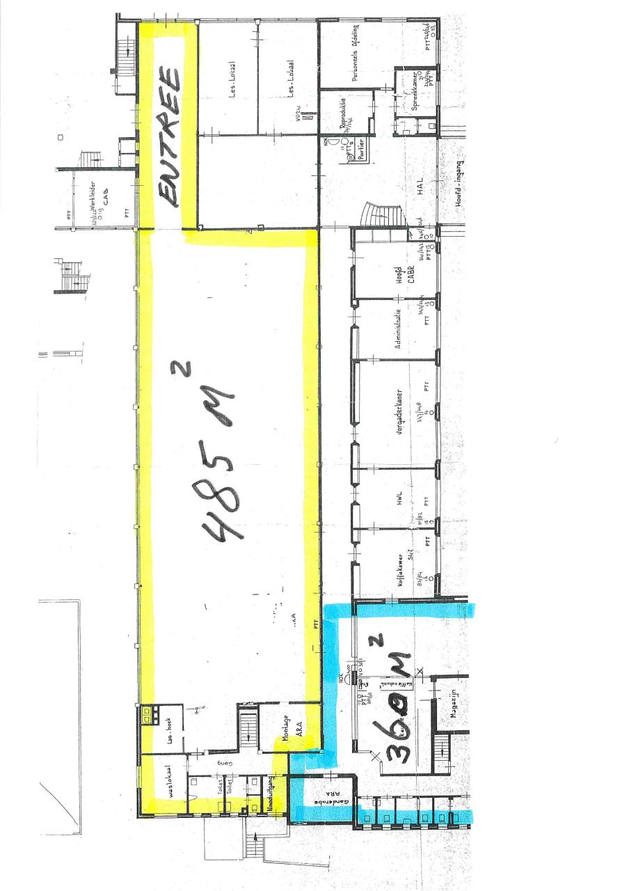
In de wijk Roombeek op de hoek Voortsweg en Hulsmaatstraat gelegen kantoorruimte met een oppervlakte van ca. 360 m² met 6 parkeerplaatsen, eventueel met aansluitende bedrijfsruimte met een oppervlakte van ca. 485 m². Beide ruimtes zijn ook apart te huur.
Indeling:
Kantoorruimte: entree, hal, kantoren, kantine, archief, toiletgroep met invalidentoilet.
Bedrijfsruimte: entree middels overheaddeur, bedrijfsruimte, kantoor en toiletgroep.
Bekijk plattegrond: Kantoorruimte 360 m², Bedrijfsruimte 485 m²
Bereikbaarheid:
Goede bereikbaarheid door hoeklocatie en meerdere inritten naar het parkeerterrein.

Voorzieningen
- representatieve entree
- verwarming
- verlichting
- airco
- scheidingswanden
- tapijt
- systeemplafonds

Meer weten?
Wilt u meer weten wat de mogelijkheden zijn?
Vul het contactformulier in of bel ons op 053 4329 344
Stel uw vraag
Te huur in Enschede
Wij hebben zowel kantoorruimtes, multi-ruimtes en opslagruimtes te huur. Informeer naar de mogelijkheden.















